Leave a Message

Thank you for your message. We will be in touch with you shortly.

For Sale

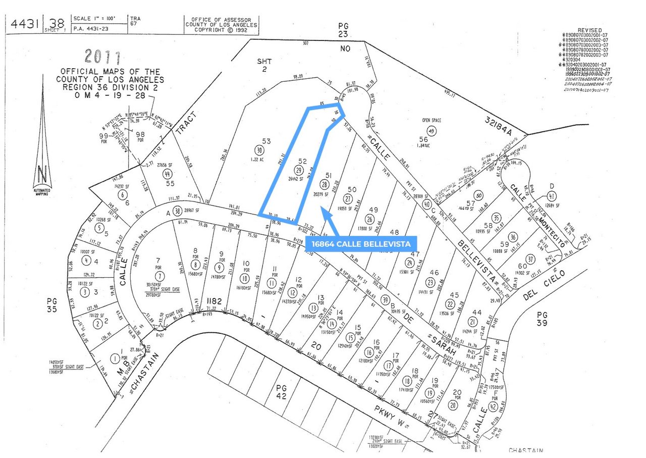
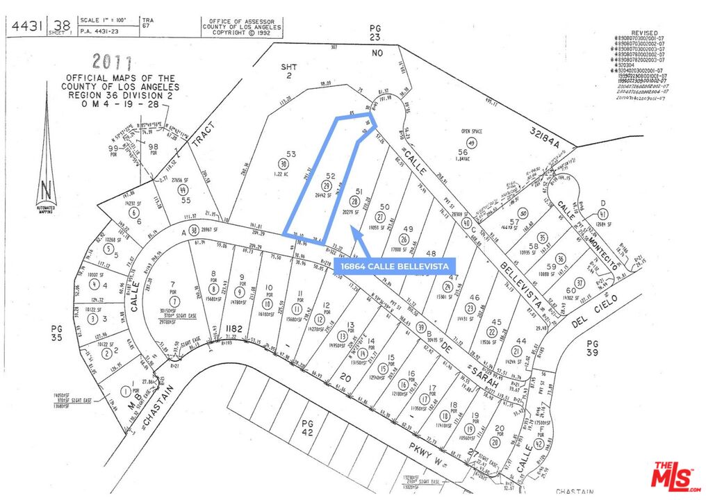
16864 Calle Bellevista, Pacific Palisades, CA 90272

16864 Calle Bellevista

$2,895,000
Welcome to 16864 Calle Bellevista in the guard gated Enclave. This 26,572 sf land offering is arguably one of the best ocean view sites in the Palisades Highlands and sits at the end of a cul de sac with nearly every home on the street untouched by the recent fires. Phase 1 & 2 debris removal have been completed and the prior infinity pool and lower outdoor level with over $1,000,000 of site work appears to still be intact. The prior home was 5,461sf so with the current ordinance a new buyer could potentially build over 6k sf above grade. Owner has started working on plans by Roman James Design Build who is a world renowned architecture and design firm. This is an incredible opportunity for anyone looking to be part of the expedited rebuild process and not be surrounded by construction for years to come. The home is also part of the Summit Club which gives owners access to tennis courts & pickleball courts, gym, additional heated pools & spa, party rooms, and childrens playground.
More Info

26,572 Sq.Ft. lot

David Solomon

David Solomon

Anna Solomon

Anna Solomon

Features & Amenities

Area & Lot

  • Status For Sale
  • Lot Area26,572 Sq.Ft.
  • MLS® ID25629283
  • TypeLand
  • View DescriptionOcean, Mountains

Financial

  • Sales Price$2,895,000
  • HOA $677
  • Zoning LARE15

Work With Us

In an Amazon era, Solomon Property Group strives to make the home buying, selling, and renting process as seamless as possible. We provide the ultimate in white glove customer service, always going above and beyond to make sure our clients’ wants and needs are met with the utmost satisfaction.

Follow Us